Property Description
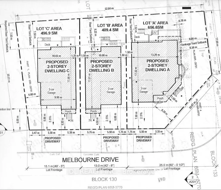
Attention Builders and Investors! 3 Individual Vacant Lots for sale! Design and Drawing of a 5000 Sqft , 3700 Sqft and 4000 Sqft detached house for each lot is available.
Features
: None
: None
: None
: Other
: Sewer
Address Map
US
ON
York
Richmond Hill
L4S 1M7
Elgin Mills
1061
Road
W80° 36' 47.2''
N43° 54' 2.8''
East
Elgin Mills / Bayview
E
Additional Information
: Other
Financial
10893.01
Listing Information
New
2026-04-21T18:45:50Z
TRREB
For Sale in York
1061 Elgin Mills Road E, Richmond Hill, ON L4S 1M7
$3,500,000
Listing ID #N13026562
Basic Details
Property Type : Residential
Listing Type : For Sale
Listing ID : N13026562
Price : $3,500,000
Status : Active
Office Name : JDL REALTY INC.
Property Sub Type : Vacant Land
Agent info
Pontis Realty Inc., Brokerage
- Richi Khanna
- 647-997-1281
-
khannarichi@gmail.com
Contact Agent








